SIGE
Provincia di Genova, area edilizia
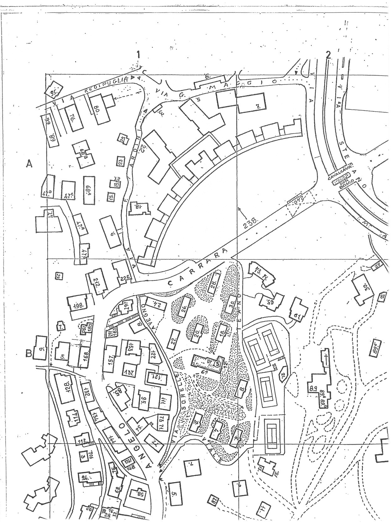
Edificio 118 sito in località Quarto in Via Francesco Ardini, 18.
Codice edificio: 118
Codice Istat Provincia 010 Codice Istat Comune 025 Ambito 5
Provincia GENOVA Comune GENOVA CAP 16147
Località Quarto Indirizzo Via Francesco Ardini, 18 Distretto 4
Codice Edificio AESL
Attività118A - Custode SE.DI.
118B - CROCE ROSSA ITALIANA
Inquadramento generale Soggetto Anno Ambito Zona Area
Piano Urbanistico Comunale 2000 - F F-FF
DSCN0684.JPG 118A-Topo.jpg