SIGE
Provincia di Genova, area edilizia
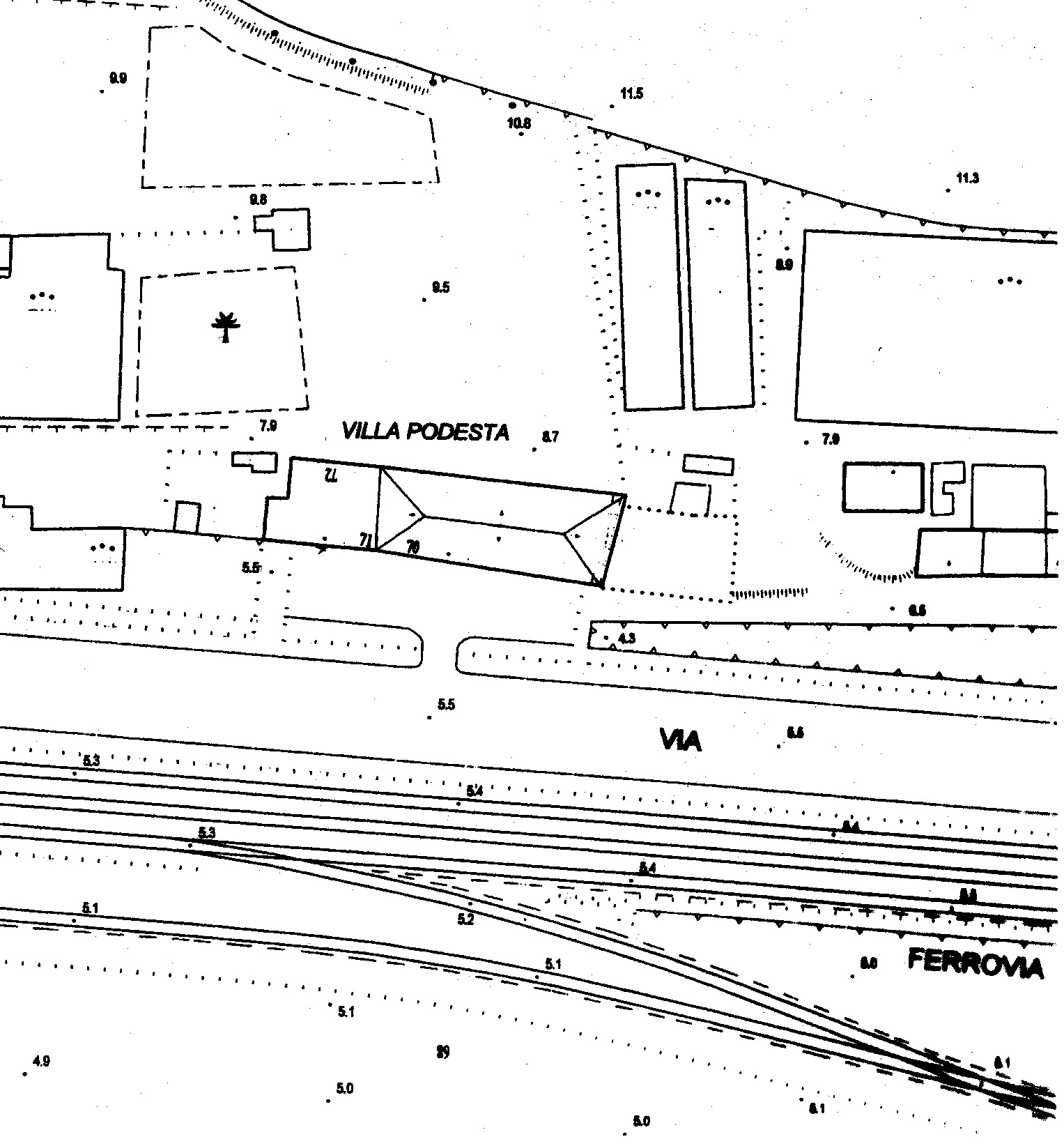
Edificio 146 sito in località Prà in Via Prà, 70.
Codice edificio: 146
Codice Istat Provincia 010 Codice Istat Comune 025 Ambito 1
Provincia GENOVA Comune GENOVA CAP 16157
Località Prà Indirizzo Via Prà, 70 Distretto 1
Codice Edificio AESL
Attività146A - Centro per l'impiego Ponente
Inquadramento generale Soggetto Anno Ambito Zona Area
Piano Urbanistico Comunale 2015 Ambito del territorio urbano AC-CS Ambiti speciali
PTCP Piano Territoriale Coordinamento Paesistico No
D.LGS. n. 42 del 22/01/04 - Parte II Titoli 1 e 2 (Beni Culturali) 2002 - - -
D.LGS. n. 42 del 22/01/04 - Parte III Titoli 1 (Beni Ambientali) 1958 - - -
24_01_2013 Villa Sauli 052.jpg 146-Topo.jpg